REQUEST A TOUR If you would like to see this home without being there in person, select the "Virtual Tour" option and your agent will contact you to discuss available opportunities.
In-PersonVirtual Tour

$ 429,000
Est. payment /mo
Active
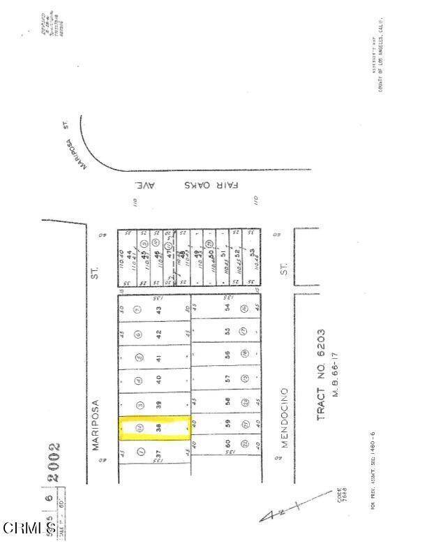
64 W Mariposa ST Altadena, CA 91001
5,985 Sqft Lot
UPDATED:
Key Details
Property Type Vacant Land
Listing Status Active
Purchase Type For Sale
MLS Listing ID P1-22766
HOA Y/N No
Lot Size 5,985 Sqft
Property Description
Located just west of Fair Oaks Avenue, this lot presents an excellent opportunity to construct a new home on a flat parcel measuring 5,983 square feet. According to public records, it was previously home to a 720 square foot residence featuring 2 bedrooms and 1 bathroom. The property is in close proximity to local trails and parks including Charles Farnsworth Park, which offers amenities such as pickleball, tennis, and more. Both phases I and II of the property cleanup and debris removal are now complete. Buyers should independently verify all zoning, permitting and rebuilding requirements with Los Angeles County and verify status of utilities with local providers. Buyers are responsible for conducting their own investigations to satisfy themselves regarding future development, ability to add units, required lot size, environmental toxicity, community and neighborhood designation, zoning and taxes. Call for more information.
Location
State CA
County Los Angeles
Area 604 - Altadena
Zoning LCR175
Interior
Fireplace No
Exterior
Fence Chain Link
Community Features Curbs
Utilities Available Cable Available, Electricity Available, Natural Gas Available, Sewer Available, Water Available
View Y/N No
View None
Present Use Residential,Single Family,See Remarks
Building
Lot Description Level, Sprinklers None
Sewer Public Sewer
Water Public
Others
Senior Community No
Tax ID 5835006024
Acceptable Financing Cash
Listing Terms Cash
Special Listing Condition Standard

Listed by Jim Rock COMPASS





